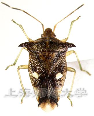
锡金匙同蝽 Elasmucha tauricornis
发布人:系统管理员  发布时间:2017-09-23   浏览次数:23


昆虫纲  》  半翅目   》 同蝽科
Insecta >> Hemiptera >> Acanthosomatidae


锡金匙同蝽 Elasmucha tauricornis

锡金匙同蝽体长约9mm。体棕褐色,具棕黑色刻点,翅上具1对白斑。

分布:浙江、安徽。

馆藏标本数:1