发布者:系统管理员发布时间:2017-09-23浏览次数:32
昆虫纲 》 半翅目 》 同蝽科Insecta >> Hemiptera >> Acanthosomatidae
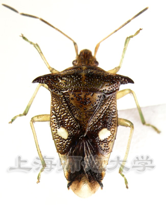
锡金匙同蝽 Elasmucha tauricornis
锡金匙同蝽体长约9mm。体棕褐色,具棕黑色刻点,翅上具1对白斑。
分布:浙江、安徽。馆藏标本数:1
分布:浙江、安徽。
馆藏标本数:1
版权所有 © 151amjs澳金沙门徐汇校区:上海市徐汇区桂林路100号奉贤校区:上海市奉贤区海思路100号电话:021-64322143、021-57123994