发布者:网站管理员发布时间:2017-09-23浏览次数:55
昆虫纲 》 蜚蠊目 》 蜚蠊科Insecta >> Blattaria >> Blattidae
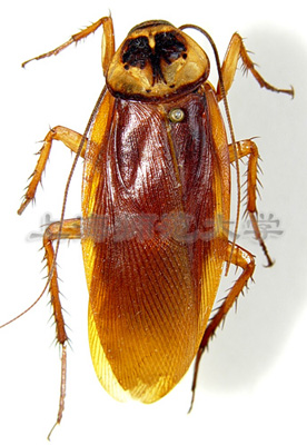
美洲大蠊 Periplaneta americana
美洲大蠊体长27~32mm。红褐色,前胸背板黄色,中部具一大黑斑。
分布:世界广布。馆藏标本数:1
分布:世界广布。
馆藏标本数:1
版权所有 © 151amjs澳金沙门徐汇校区:上海市徐汇区桂林路100号奉贤校区:上海市奉贤区海思路100号电话:021-64322143、021-57123994